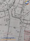
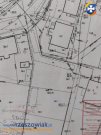
Sprzedam dwie działki po 8 arów łacznie 16-arową w Rzeszowie działka w pełni uzbrojona studzienka kanalizacyjna woda prąd oraz gaz znajdują na działce . Szerokość 25 metrów przy drodze głównejasfaltowej.
Działka ogrodzona z każdej strony zagospodarowana sad drzewa i krzewy budynek gospodarczy . W tym roku wydane warunki zabudowy bezterminowo. swobodnie można postawić duzy dom lub dwa.Numer działki 802/6 obręb 220- cena 325 tys.Lokalizacja na załączonym zdjeciu Nie współpracuje z biurami pośrednictwa.Sprzedaz bezpośrednia.Pierwsz działka 8 arów cena 325 tys .Dwie działki łącznie 16 arów cena 499000 tys .













ogłoszenie















